All our breeding dogs have their hips and elbow scored and DNA tested for common genetic diseases in both the Labrador and Poodle when they reach 12 months of age.
PennHIP
For hip scoring, we use the Pennhip scoring test. PennHIP scoring is a technique used to measure and assess hip joint laxity. Studies have shown, breeders that consistently bred from PennHIP scores that were better than the breed average reduced the rates of osteoarthritis in their breed. The breed average distraction index (DI) for Labradoodles is 0.5. We only breed from dogs that have a lower score than the breed average, meaning they have less loose hips.
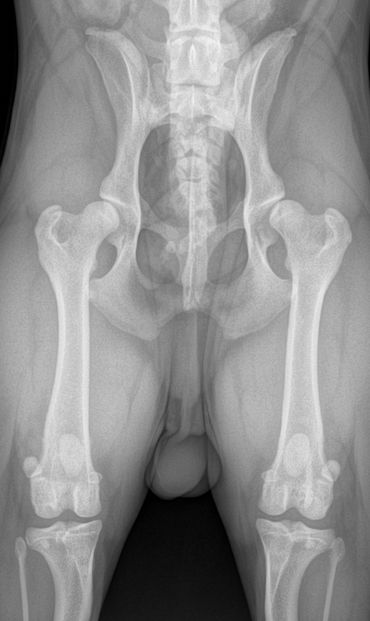
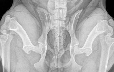
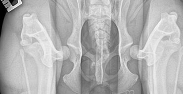
This technique requires 3 xrays views be taken while the dog is sedated.
The three views are
Often the distraction view shows greater laxity (looseness) in the hip than the hip extended view. This is because the hip extended view often masks hip laxity due to the position the socket is stretched into. This is why both views are required to be assessed with PennHIP scoring. The compression view allows the radiologist to assess the fit of the femoral head (ball) into the acetabulum (socket).
While we can screen for hip dysplasia in our breeding dogs and try and reduce the incidence in our puppies by breeding dogs with low scores, hip dysplasia is a multifactorial disease.
Environmental factors can affect the development of young growing hip joints. Factors include excessive jumping, slipping on floors and inappropriate exercise for the age of the puppy




Elbow scoring is done at the same time as hip scoring. Xrays are taken of each elbow and sent off for assessment. The conformation of the elbow and any signs of osteoarthritis is assessed and then given a score. We will only breed from dogs with a score of 0 and 0 in each elbow. A score of 0 means the elbow has no conformational issues and no signs of osteoarthritis
We Use Orivet health testing to test for 31 diseases that can be hereditary in both the Labrador and Poodle breeds. All our breeding dogs will be determined clear of these diseases based on the results.
Some of the conditions we test for include:
Click here for the full list of hereditary conditions we test for.
Our puppies come with a 3 year health guarantee for any heritable conditons we can test for. Feel free to contact us to have a chat if you have any questions.

We use cookies to analyze website traffic and optimize your website experience. By accepting our use of cookies, your data will be aggregated with all other user data.